08.09.2017 10:50 0 Redakcja

Hel: Naukowcy szukają jesiotrów "zbiegłych" z hodowli

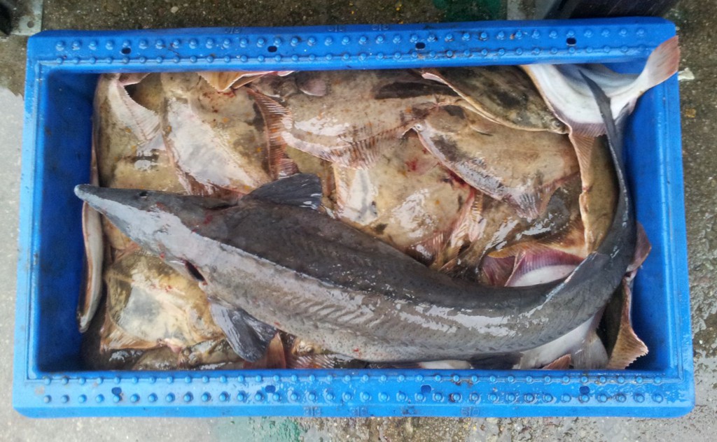
fot. B. Arciszewski, źródło SM w Helu

Powinny pływać w rzekach Syberii, tymczasem często trafiają w rybackie sieci, m.in. w wodach Zatoki Puckiej. Jak się okazało, kilkadziesiąt tysięcy hodowlanych jesiotrów syberyjskich, które nie są pożądane w Bałtyku, przedostało się do jego wód. Naukowcy ze Stacji Morskiej w Helu apelują o zgłaszanie przypadków pojawienia się "zbiegłych ryb".

Do nietypowej sytuacji doszło pod koniec sierpnia. Rosnący poziom wody w Grabowej umożliwił masową ucieczkę do rzeki jesiotra syberyjskiego z hodowli w Jeżyczkach (gmina Darłowo). Łącznie, z niewielkim udziałem jesiotra rosyjskiego, do środowiska naturalnego trafiło około 50 tysięcy ryb.

Spływające z hodowli jesiotry po jedenastu kilometrach dotarły do Wieprzy, a stąd już jedyne półtora kilometra dzieliło je od wód otwartych Bałtyku – relacjonują pracownicy Stacji Morskiej im. prof. Krzysztofa Skóry Instytutu Oceanografii UG w Helu. - Po kilku dniach zaczęły do nas docierać informacje o licznej obecności jesiotrów w połowach rybackich i wędkarskich w rejonie Darłowa. Znaleziono również kilka martwych osobników na okolicznych plażach. Kolejne zgłoszenia pochodziły z łowisk rybackich położonych w Zalewie Kamieńskim oraz Zatoce Gdańskiej, w tym z Zatoki Puckiej – dodają.

Przyłowy te musiały być dla bałtyckich rybaków wręcz egzotyczne. Jak wyjaśniają specjaliści, jesiotr syberyjski naturalnie zasiedla duże rzeki Syberii, od Obu do Kołymy, oraz jezioro Bajkał. Dodają, że od 2006 roku trwają w Polsce i Niemczech prace reintrodukcyjne rodzimego gatunku - jesiotra ostronosego.

Dlatego obecność obcych jesiotrów w naszych wodach jest niepożądana. Ich występowanie wiąże się z możliwą konkurencją z gatunkiem rodzimym o zasoby pokarmowe i siedliska oraz wzbudza obawy o możliwość ich hybrydyzacji. Wiedza o skali przenikania nierodzimych gatunków jesiotrów do środowiska jest szczególnie istotna. Ponadto brak doświadczenia w rozróżnianiu jesiotrów przez rybaków i wędkarzy może przyczynić się do nieświadomego odłowu jesiotra ostronosego, który jest gatunkiem objętym ścisłą ochroną – zaznaczają naukowcy z Helu.

Dlatego właśnie eksperci wystosowali apel skierowany do "ludzi morza": W przypadku złowienia lub zakupu jesiotra złowionego w Bałtyku prosimy o wykonanie zdjęcia ryby. Zanotowanie jej długości i masy. Prosimy o zamrożenie wnętrzności. Rybaków i wędkarzy dodatkowo prosimy o dołączenie informacji o miejscu połowu i użytym narzędziu połowowym. Ryby i zamrożony materiał badawczy odbierzemy niezwłocznie. Pamiętajmy, że wśród złowionych jesiotrów syberyjskich możliwe jest znalezienie chronionego prawem jesiotra ostronosego, którego należy niezwłocznie wypuścić do wody!


Czytaj również:

Trwa Wczytywanie...